カイロプラクティック/分子栄養学
しん研良院

〇受付時間 8:00〜18:00 
○診察時間 9:00~22:00 
○休み:不定休

ひざ・股関節・足部の痛み

ひざ痛を取り去る施術ポイント

 

各種徒手的な検査

原因は多種多様なので、鑑別検査が必須で、これにより原因場所が特定されます。

足首や股関節

膝は足首や股関節の影響を大きく受けますので、全身の評価がとても重要となります。ひざだけを何とかしようとしても、あまり効果がありません。

意外と思われるかもしれませんが、結腸と大腿の筋肉が関係しているため腹部の施術でひざの痛みが消失することがあります。

婦人科系(卵巣など)

これも意外かもしれませんが、骨盤内の体液の循環不良を改善することでひざの痛みが消えることがあります。高校生ぐらいから大人まで女性でなかなか良くならないひざ痛は下腹部の血液やリンパの循環をよくする施術で回復することがあります。
 

痛みの主な原因

  • 関節の問題: 膝、股関節、足関節
  • 筋肉の問題: 膝窩筋、大腿四頭筋、薄筋、縫工筋、腸脛靭帯など
  • その他: 関節包、半月板、靭帯、伏在神経、
  • 結腸や婦人科系の内臓の問題と筋肉との関係性

 

よく訴えのあるひざの痛み

 

オスグッド(膝の皿の下側の痛み)がずっと続いている

  • 陸上、バスケット、野球、サッカーなどのスポーツをしている小・中学生によく発生する。
  • 身長がよく伸びている時期(ひと月に1センチ前後)に発生しやすい。

変形性膝関節症

  • 45歳ぐらいから変性が始まる。
  • 注射で抜かなくても腫れをなくせます。

膝の後ろの痛み(膝窩筋炎)

膝の反りかえっている反張膝の人がなりやすい。
水泳選手に多い。

電気治療の有効なケースもあります

膝の皿の中の痛みやひっかかり感・違和感(膝蓋骨軟化症)

  • 多くは皿の外側に痛み。サイドステップの多いスポーツ、15~20歳女性アスリート。
  • 内側広筋の弱化した中年以降の女性にもよくある。

膝の内側の痛み(鵞足炎:がそくえん)

骨盤のゆがみやⅩ脚の人がなりやすい

膝の皿のすぐ下の痛み(膝蓋腱炎、ジャンパー膝)

  • ジャンプをよくする競技で多い~バスケット、バレーボール、陸上
  • 高校生や大学生の時期にみられる

ひざ外側の痛み(腸脛靭帯炎、ランナー膝)

  • 長距離選手、O脚の人に多い膝の外側の少し上に痛み。
  • トラックを走る中距離選手では、右脚になりやすい。

ジャンパー膝

  • 大腿四頭筋腱付着部炎や 膝蓋腱炎などのこと。

ランナー膝

  • 腸脛靱帯炎(ちょうけいじんたいえん)のこと。
  • 膝蓋軟骨軟化症(しつがいなんこつなんかしょう)や膝蓋腱炎(しつがいけんえん)、鵞足炎(がそくえん)等を含めて言う事もある。
 

痛みの原因は、どこにあるのか?

 
「臼蓋形成不全」や「変形性股関節症」などの状況がレントゲンなどで確認できても痛みの原因がそこにないケースがあります。
 

カイロプラクティックの診方

大腰筋などの筋肉の拘縮や関節の動き方の異常でも股関節痛が発生するので、そういった部分を検査・施術します。
これはレントゲン・MRIでは分らない部分です。
手術の前にカイロの施術を受けて痛みが取れ、手術しなくて済んだ方もおられます。
 
実際の痛みは、筋肉や靭帯などの軟部組織の短縮・拘縮、骨盤や股関節、足首などの骨格の可動域制限などによって、血流障害その他を起こしている事が原因のように感じます。
それらは、実際に体を触ったり、動かしたりして、初めて分るものです。また、その改善方法も徒手的に行うのが最善だと考えます。
 

股関節痛への正しい対処法とは?

以下、当院の考えです。
 

痛い部分へのマッサージについて

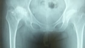
股関節のレントゲン画像
…変形性関節症の程度が確認できます

痛いところは、炎症が起きているかもしれません。
ですので、痛い部分にマッサージは、その時楽な感じが出るものの痛みが悪化する恐れがあります。
その痛い所とは別の場所に、本当の痛み発生装置が出来ています。
当院では、そういった痛み発生装置を各種検査で探し出して、解除する施術を行います。
 

  1. 股関節の前に痛み(臼蓋形成不全の方)→大腰筋の拘縮を施術して痛み消失
  2. 骨盤回りに鈍痛のある方(腹部の手術歴あり)→卵巣周りの膜組織の柔軟性低下を施術して痛み消失
  3. ソ径部痛→大腿部の筋肉の施術で痛み消失
  4. 股関節の後ろに痛み→股関節の矯正で痛み消失
  5. 変形性股関節症の方の痛み→股関節のモビリゼーションで痛み改善

 
 

薬について

これは医師も言われていますが、多くの薬は、痛みを止めるためのもので、根本的に体を治してくれているわけではありません。
日本整形外科学会の腰痛診療指針には、「抗不安薬」が推奨されているように、痛みを止める、精神的に楽になる・・・こういった事も場面場面では有効だと思います。
しかし、そればかりに頼っていては、本末転倒になるおそれが・・
 

痛みの原因について

股関節周りの筋肉や靭帯の異常を取り除くと、多くの方の股関節痛が改善します。
変形性股関節症の方は、自宅エクササイズを加えていくことで痛みを改善していきましょう。

  • 徒手矯正で、股関節の可動域が改善します。
  • 変形性股関節症は、変形を食い止める施療とエクササイズが重要です。
  • スポーツをしている方の股関節周辺の痛み・・・筋骨格に不具合がありますので、それを見つけて修正
  • 内臓の問題が関わっていることもあります。手術歴のある方は腹部の施療が必要です。

 
 

股関節の痛みでのよくある訴え

 

「ソ径部(股関節)の前が痛いです」「股関節の前に“つまり感”があります」

  • 股関節の矯正で改善できる事が多い・・・股関節の靭帯や関節包、筋肉の問題
  • 過度のランニングやキック、長時間座る・・・この場合は腸腰筋の硬縮 

「お尻の方が痛いです」

  • 関節唇の問題や股関節の動き方の異常など

「レントゲンで変形性股関節症の診断が出ています。手技療法で何かできるでしょうか」

  • 股関節の施療(股関節の矯正やパンプ、骨盤矯正など)
  • 自宅でのエクササイズなど行えることは多い 

 

「股の内側、恥骨あたりが痛いです」

  • ランナー、サッカー選手に多い。内転筋の硬縮など。

「ソ径部の深いところに痛みを感じます」

  • 恥骨筋のトリガーポイントなど⇒体操や乗馬をする人。脚を常に組む人。
  • 大内転筋のトリガーポイント⇒スキーをよくする人。

「走ると太ももの付け根が痛いです」

  • 腸恥包炎や腸腰筋のトリガーポイントなど。

「太ももの前側が痛いです」

  • 大腿四頭筋のトリガーポイント。
  • 大腿神経の圧迫障害・・・腰椎2,3番や鼠径部。

「太ももの外側あたりに嫌な感覚が出ます」

  • 外側大腿皮神経の圧迫・・・・・きついガードル、ジーンズをはいて座り仕事など。

「太ももの横側が痛いです」

  • ランナーによくある腸脛靭帯炎。大腿筋膜張筋のトリガーポイントなど。
  • 55歳以上で脊柱管狭窄症の診断の出ている人によくある
  • 30~40代で椎間板ヘルニアの診断が出ている人によくある

「太ももの内側が痛いです」

  • 薄筋や大内転筋のトリガーポイント⇒乗馬をする人。脚を組む人。

足部の痛み

 
単にマッサージしても治らないケースは多く、

  • 骨格(関節)の動きや上半身の動き
  • さらにそれらをコントロールしている中枢神経系
  • あるいは筋肉など細胞レベルでの栄養など

様々な要素を総合的に考察して、施術と生活のアドバイスを行います。
 

改善を早められるケース(病院で診断される症状名)

足底腱膜炎

足裏の痛み。長距離走、剣道の打ち込みなどで。

アキレス腱炎

アキレス腱の下の方の痛み

アキレス腱下滑液包炎

アキレス腱下方の少し横の痛み

シーバー病(踵骨骨端症)

10歳前後の男の子に多い。
縄跳びのし過ぎ、くつの問題など。

前足根管症候群

足首前側の痛み・しびれ。正座、高いヒール、靴ひもをきつく縛るなどが原因になりやすい。前脛骨筋などの拘縮。 

長短腓骨筋炎

外くるぶしの後ろの痛み。O脚や偏平足の人に多い。筋と支帯がこすれて炎症しています。

後脛骨筋炎

内くるぶしの後下方の痛み。X脚の人に多い。陸上選手などで、後脛骨筋に炎症をおこしています。

シンスプリント(脛骨過労性骨膜炎)

内くるぶしから12~20センチ上方の痛み
陸上などをしている中高生女子に多い。
ほっておけば疲労骨折のリスクがあります。

捻挫(ねんざ)後、いつまでも治らない足首の痛み

距骨の矯正や筋・腱の癒着をとる施術が必要です。
ギブス固定をしてそのままだと足関節の機能低下が残ります。
⇒スポーツ競技者にとっては、パフォーマンスの低下が出ます
⇒将来の腰痛などの原因になります

検査項目と施術方法

 

痛みの原因

過去の外傷(捻挫や打撲)による関節の可動域のトラブル・・・腓骨や距骨、踵骨、舟状骨、立方骨など
足部のミリ単位のズレの矯正が可能です
筋肉など軟部組織の拘縮・・・足底腱膜、後脛骨筋、腓骨筋、ヒラメ筋、大腿四頭筋、ハムストリングスなど
末梢神経の絞扼障害(圧迫されて異常感覚)
 

施術方法

  • 骨折やねんざなどの急性期の痛み…アイシング、MCRなどの電気治療、手技による施術、栄養のアドバイス
  • 慢性の痛み…骨格の矯正、筋肉や腱膜のリリース、末梢神経の施術、栄養のアドバイスなど


○ただ安静にするだけでなく、適切に原因部分を見つけて施術を行うと競技復帰が2~3倍早められます。
○その場で痛みのなくなるケースは、6~7割ほどです。
3回以上かかりがちなのは、シンスプリントやオスグッドなどです。
疲労骨折などは、電気機器の貸し出しを行い数週間ひたすら当て続けてもらいます。治癒に要する期間が半減しているようです。

捻挫などにより腓骨や踵骨のミリ単位のズレや癒着が起こります


 

施術例

 
改善された方のご厚意により、写真撮影などの許可をいただきました。
同じような症状でお困りの方にとって、ひとつの目安や判断材料になればと思います。

ヒザ痛や股関節の痛み

40代美容師(香芝市)
2019年大阪マラソンPB:4時間40分
 

  • 骨盤や腰部・脚部の筋骨格系の施術その他
  • 長年の頭痛も消失
  • 他の競技:テニス、スキー
  • 必要だった栄養素:亜鉛、グルタミン

オスグッド

中学生、サッカー(三郷町)
2013年4月23日
 

  • ダッシュしたり、膝を曲げたりすると右ひざの皿の下に痛み
  • いろいろな所に通っているが、痛みが4か月続いている。

 

施術

  • 大腿四頭筋や膝蓋骨、膝蓋靭帯、その他
  • 自宅で行うエクササイズ指導

 

結果

1回目:痛みが8割減(10→2)
2回目:痛みが来院時10→7に戻っていましたが、施術後は7→3.5に半減。
3回目:左ひざにも同じ痛みが出てくる
4回目:「左は6、右は4の痛みです」施療後、痛みはかなり改善。
5回目:痛みゼロ。ダッシュしても大丈夫になっている。


 

半年前からの膝痛

12歳バスケット部(香芝市)
2013年3月19日
 

訴え

  • オスグッドの痛みが、去年の8月ごろから続いている。
  • 2軒目の病院で「タナ障害と膝蓋大腿関節不適合障害」の診断。
  • 痛い場所は、左ひざ前側の全体。ひざ裏にも痛み。
  • しゃがむととても痛い。膝の皿の上あたりで痛みが動く感じがする。
  • オスグッドの痛みは左右にある。

 

考察

タナ障害や膝蓋骨に関する病院の診断の通り、プライカテストなどの整形学検査で陽性。
全身の検査では次のような部分に問題があった。

  • 大腿部に拘縮
  • 膝蓋骨の可動域異常: 内→外への動きがほとんどない
  • 脛骨の問題: 外旋制限

 

3回の施術と結果

  • 結腸へのマニピュレーション: しゃがんでみると、痛みが10→5に減少。
  • 大腿四頭筋のトリガーポイントと膝蓋骨、脛骨に対する施療後: 痛み消失

 

股関節痛

40歳代主婦(桜井市)
2014年6月29日
 

病院の受診等

病院での診察:左右股関節臼蓋形成不全~手術を勧められる
痛む場所:右股関節の前側
痛みの出方:夜間痛あり。脚を挙げる動作がつらい。
膝痛と腰痛が20年以上前からある
手術歴・・・帝王切開
 

検査

  • 筋力検査~大腰筋の弱化
  • パトリックテスト、バルサルバ陽性

 

施術

  • 大腰筋の過緊張に対して
  • 足部や骨盤・腰椎のアライメントの改善
  • 内臓の施療・・・腹部の膜の可動性低下に対して

 

結果

  • 2回目来院時・・・痛みが減少
  • 3回目・・・痛み消失。膝痛と腰痛も改善。

 

股関節の前側と横側に痛み

40歳、主婦(東京都)
2013年8月25日
 

訴え

  • 病院でレントゲン~先天性股関節脱臼の診断
  • 3日前に、股関節の横に激痛。
  • 股関節の前側に違和感と痛み。

 

施術

  • 股関節の動き方の異常を矯正
  • 関連する筋肉の調整…薄筋や腸骨筋などの施療
  • 鼠径部から緊張している組織を胆のうまで追って施術
  • 関連する骨格の矯正…仙腸関節や恥骨結合の矯正

 

結果

  • 1回目…「施術後、とても良く寝れて、汗をものすごくかきました」
  • 4回目…痛み消失

 


 

股関節痛と膝痛

60歳代、主婦(葛城市)
2012年7月〜2013年9月
 

訴え

  • 20数年前から左の股関節痛、15年前から右の股関節痛
  • 病院でレントゲン~大腿骨頭壊死で手術と言われている
  • 手術を先延ばしにしている。
  • 杖をつきながら 痛いのを我慢して歩いていたが、最近は歩けなくなってきた。

 

施術

  • 膝関節と股関節の矯正
  • 股関節周りの筋肉の拘縮に対して

 

結果

1回目…痛み半減(10→5)
2回目…5の痛みが3程度に減少
3回目(10日後)…10→0.5ぐらいの痛みに改善
8回目)…「数十分歩いても痛みは気にならない」

随時のメンテナンス

30代公務員(奈良県)
2019年12月 奈良マラソンPB:3時間4分
 

  • 股関節、腰、足、大腿、ヒザなどその時々の痛みや違和感を施術
  • 年間エントリー数10数回
  • 月間走行距離:200キロ
  • お勧めした栄養素:ビタミンC、亜鉛

足首の痛み、アキレス腱の痛み、メンテナンス

40代主婦(大和高田市)
2019年  神戸マラソン3時間53分
 

  • 初マラソンで目標のサブ4達成
  • 月間走行距離:300キロ
  • 施術のほかに食事と栄養についての改善で痛みが改善されました
  • お勧めした栄養素:グルタミン、亜鉛、ビタミンA,プロバイオティクス(以上、腹部膨満感に対しての対策)、ビタミンC、E、プロテイン(走行距離と栄養とのアンバランスに対しての提案)

 

2年前から続く足首の痛み

28歳看護師(王寺町)
2014年1月29日
 

訴え

  • 2年前から、左足首の外側と第1~2中足骨間に痛み
  • 10分走ると、決まって痛みが出る
  • 最近だんだん痛みがひどくなって、趣味のランニングが出来ないでいる

 

施術

  • 長短腓骨筋や長母趾伸筋、距骨などを施療

 

結果

  • 3回目で痛み消失

 

ノートと考察

 

  • このコーナーは、考察や各種情報をノートとして不定期に書き加えているものです。
  • 私自身の記憶の整理用のノートですので、考えるヒント程度にお読みください。
  • 「~だ」のような断定的な表現もありますが、あくまでもここに書いているのは考え方の一例に過ぎません。
  • より良い情報が見つかるたびに、訂正や追加を加えます。
  • 疑問点などのご指摘をくださる方があれば幸いです。

股関節の動き方の検査、関連する筋肉の検査などを行い、痛みの原因を探す必要があります。

  1. 関節周囲の筋肉や靱帯の痛み
    例:捻挫、肉離れ、筋肉のトリガーポイント、股関節の可動域の異常
  2. 骨の表面の膜(骨膜)
    例:骨折、骨の炎症
  3. 関節包が広がって痛みが出る
    例:関節炎 関節に関節液がたまる(滑膜炎)

股関節は、寛骨臼と大腿骨頭からなる関節部分が球形の関節であり、体重などがかかる荷重関節でもあります。
大腿骨頭は半球を超える球形で、寛骨臼は深く大腿骨頭を収納するように形作られています。
 

検査(整形学検査)

パトリックテスト、アンビルテスト、トレンデンブルグテストなど
 

X線

  • 臼蓋が形成されているかどうか・・・臼蓋形成不全の有無
  • 大腿骨頭と臼蓋の間隙について・・・重なって見える場合は重症
  • シェントン線などがスムーズなラインを描くかどうか・・・大腿骨頭の変形の有無、臼蓋形成不全について
  • 大腿骨頭の変形・・・骨端すべり症、大腿骨頭壊死などの有無

 

股関節痛の様々な原因

1:股関節の内部の異常

  • 股関節のインピンジメント(FAI)・・・カム型、ピンサー型
  • 関節唇の損傷
  • 遊離体による痛み
  • 輪状靭帯の損傷 など

2:股関節外部の問題

  • 腸腰筋腱炎
  • 小中殿筋腱炎
  • 腸脛靭帯炎
  • 大転子滑液包炎
  • 梨状筋症候群
  • 内転筋の肉離れ
  • 疲労骨折 剥離骨折(坐骨結節など)
  • 鼠径ヘルニア

3:その他

  • 恥骨結合炎、スポーツヘルニア ⇒鼠径部痛症候群

※MRIで恥骨高輝度所見が見られても、そこが痛みの原因でないケースもある。

中殿筋

  • 過度の歩行やランニング、長時間の立ち仕事などが原因。
  • 痛い側を下にして寝ることが出来ない。
  • 坐骨神経痛のような痛み、股関節の疼痛が出る。

小殿筋

  • 小殿筋前部線維緊張では、大腿外側痛が生じ、小殿筋後部線維緊張では大腿後側痛が生じる。

長内転筋

  • 乗馬などによる筋肉の酷使などが原因で発生。
  • 鼠径部痛として感じられる。
  • 脚が外に開きにくい。
  • 変形性股関節症と間違えられることもある。

恥骨筋

  • 体操や乗馬などによる筋肉の酷使が原因。あるいは、脚を組む習慣などによる長
  • 時間の筋肉の短縮。
  • 鼠径部の深部の鈍痛を引き起こす。
  • 変形性股関節症と間違えられることもある。

腸腰筋

  • 過度のランニングやサッカー選手のキックなどが原因になりやすい。
  • 立っているときにつらい。
  • 横になったり、膝をたたんだ状態になったりすると痛みが緩和する。
  • 鼠径部・太もも前面や腰の痛み。

 

原因

大腿骨頭の前方すべり現象

  • 股関節後方線維の硬縮・・・坐骨大腿靭帯、後方関節包、外旋六筋
  • 大腿直筋やハムストリングス(ニ関節筋)の問題
  • 大腿骨頭を制御するための、姿勢保持筋の弱化

 

アプローチ

  • 坐骨大腿靭帯…内旋で伸張
  • 後方関節包…股関節圧迫位にて股関節を屈曲
  • 外旋六筋の拘縮に対して…強化と柔軟性アップ
  • 関節には関節包と呼ばれる袋状の構造があるが、その中には関節液が入っていて関節が滑らかに動くための働きをしている。
  • その関節液は関節包内にある滑膜組織で作られている。
  • 股関節に何らかの炎症があった場合、この滑膜に刺激が加わり、関節液が正常な範囲の量を超えて大量に作りだされ、関節包内にたまる。
  • これが股関節に水がたまるという状態で、股関節が熱をもち、腫れてくることもある。
  • この症状は、股関節の炎症が治まれば自然に減少。

アプローチ方法

  • 病院;水をその都度抜く、痛みどめ薬
  • 手技療法;股関節に炎症が起こった原因を探し、可能ならば施術を加える

注意

  • 化膿性股関節炎の場合、股関節の激痛みや発熱・腫れがある。
  • この場合、病院に行く必要がある。